Mierzyn

Działki na Sprzedaż
Oferta specjalna
Obniżka ceny
nr oferty 430145
powierzchnia działki 917 m2
Mierzyn działka z mediami przy szkole

Na sprzedaż działka budowlana, w świetnej lokalizacji na Mierzynie blisko nowej szkoły podstawowej.
  
Media: prąd, woda i kanalizacja w drodze przy działce .


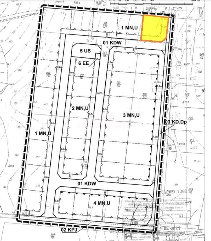
Działka w planie zagospodarowania przestrzennego oznaczona symbolem 1 MN,U przeznaczenie terenu :

1.) zabudowa mieszkaniowa wolnostojąca,
-   dopuszcza się realizację usług nieuciążliwych w zakresie edukacji, kultury, gastronomii, handlu, usług medycznych, rehabilitacyjnych, kosmetycznych, biura, kancelarie, pracownie, o powierzchni całkowitej nieprzekraczającej 40% powierzchni całkowitej budynku.

2) dopuszczenie realizacji garaży wolnostojących, z wykluczeniem garaży blaszanych;
3) wysokość zabudowy:
a) maksymalną - 9,5 m, dwie kondygnacje nadziemne, w tym druga kondygnacja w dachu stromym,
b) minimalną - 6,5 m, z wyjątkiem garaży wolnostojących, dla których ustala się minimalną wysokość 4,0 m;

4) dachy dwuspadowe lub wielospadowe, o kątach nachylenia głównych połaci dachowych 35° ÷ 45°; dla garaży dopuszcza się dachy, o minimalnych kątach nachylenia głównych połaci dachowych 25°;

5) dopuszczenie zastosowania dachu płaskiego lub o mniejszym kącie nachylenia połaci dachowych w stosunku do określonego w pkt 4, nad częściami parterowymi budynku mieszkalnego, do 30% powierzchni zabudowy;

6) maksymalny wskaźnik powierzchni zabudowy: 25% powierzchni działki budowlanej;
7) intensywność zabudowy, rozumiana jako wskaźnik powierzchni całkowitej zabudowy (wszystkich kondygnacji nadziemnych) w odniesieniu do powierzchni działki budowlanej:
a) maksymalna - 0,50,
b) minimalna - 0,07;
8) minimalny wskaźnik powierzchni biologicznie czynnej - 40% powierzchni działki budowlanej.


Nieruchomość w świetnej lokalizacji, blisko nowej Szkoły i przedszkola,   oraz sklepów, apteki, komunikacji miejskiej.
Oferta na wyłączność.

Zapraszam na prezentację

KUPUJEMY NIERUCHOMOŚCI ZA GOTÓWKĘ w Szczecinie oraz nad morzem, również zadłużone: mieszkania, domy, działki - płacimy natychmiast

 Powyższe ogłoszenie ma wyłącznie charakter informacyjny. Nie stanowi ono oferty w myśl art. 66 i n. ustawy z dnia 23.04.1964r. Kodeks cywilny (Dz.U. 1964r. Nr 16, poz. 93, ze zm.).

Cena
504 350 zł
Cena za m2
550 zł
Miejscowość
Mierzyn
Powierzchnia
917 m2
Powierzchnia działki
917 m2
Przeznaczenie działki
Budowlana
Kształt działki
Kwadrat
Instalacje
Prąd, Gaz
Wyświetleń
418
Sprawdź ratę kredytu
504 350 PLN
550 PLN / m2

Piotr Byzdra

tel. +48 500 358 321

piotr@elite.nieruchomosci.pl

Wyrażam zgodę na przetwarzanie danych
504 350
Chcesz otrzymywać podobne oferty?

Skorzystaj z automatycznych powiadomień e-mail o nowych ogłoszeniach

© 2025 Elite Nieruchomości Szczecin - Mieszkania i domy na sprzedaż - Szczecin, Warszewo, Mierzyn, Bezrzecze, Gumieńce