Planujesz budowę w najbliższym czasie?
Szukasz działki gotowej do zabudowy?
Dla siebie lub inwestycyjnie? A może łącząc obydwa cele?
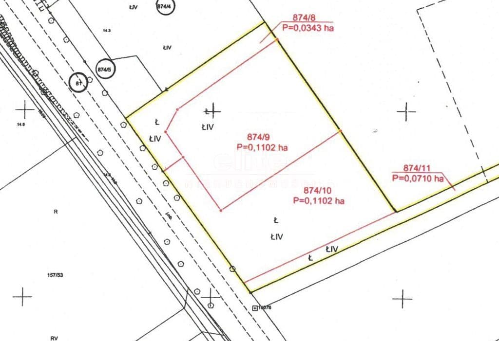
To jest oferta dla Ciebie!Na sprzedaż działka o powierzchni 1102 m2.
Dostępne w sprzedaży są 2 działki - każda po 1102 m2.
Dla działki wydano Warunki Zabudowy o nastepujących parametrach:
- wskaźnik zabudowy do 8,6% powierzchni działki,
- powierzchnia biologicznie czynna: min. 50%,
- szerokość elewacji frontowej: 12,8 - 19,2 m,
- dach stromy 2-spadowy,
- wysokość budynku do 8,5 m (parter + poddasze użytkowe spokojnie się zmieszczą),
- w dachu możliwość realizacji lukarn lub facjat o dowolnej geometrii.
Warunki zabudowy pozwalają na budowę domu jednorodzinnych na działce 3257 m2.
Obecnie istnieje możliwość nabycia działki w całości.
Po faktycznym podziale działki, będzie możliwość nabycia jednej z 2 działek.
Lokalizacja:
- Rzędziny, gmina Dobra (Szczecińska), powiat policki,
- rodzaj gruntu: łąki trwałe,
W pobliżu:
- lasy, łąki, tereny zielone,
- jezioro Świdwie: 3 km
- jezioro Stolsko: 4 km
- Szkoła podstawowa: 750 m2
- Sklepy: do 1 km.
Odległości:
- Szczecin (centrum): 20 km (30 min.),
- Police: 30 km (30 min.)
- Pasewalk (Niemcy): 33 km (35 min.)
- do najbliższej szkoły: 750 m (Szkoła Podstawowa w Rzędzinach)
Oferta tylko w naszym biurze! nie szukaj dalej!Zapraszamy na prezentację.
KUPUJEMY NIERUCHOMOŚCI ZA GOTÓWKĘ w Szczecinie oraz nad morzem, również zadłużone: mieszkania, domy, działki - płacimy natychmiast
Powyższe ogłoszenie ma wyłącznie charakter informacyjny. Nie stanowi ono oferty w myśl art. 66 i n. ustawy z dnia 23.04.1964r. Kodeks cywilny (Dz.U. 1964r. Nr 16, poz. 93, ze zm.).