Szczecin, Warszewo

Działki na Sprzedaż
nr oferty 427479
powierzchnia działki 966 m2
Działka budowlana 966 m2 Sz-n Warszewo ul.Rostocka

Do sprzedania działka budowlana położona w bardzo atrakcyjnym miejscu na Warszewie w Szczecinie z dojazdem od ul. Rostockiej.
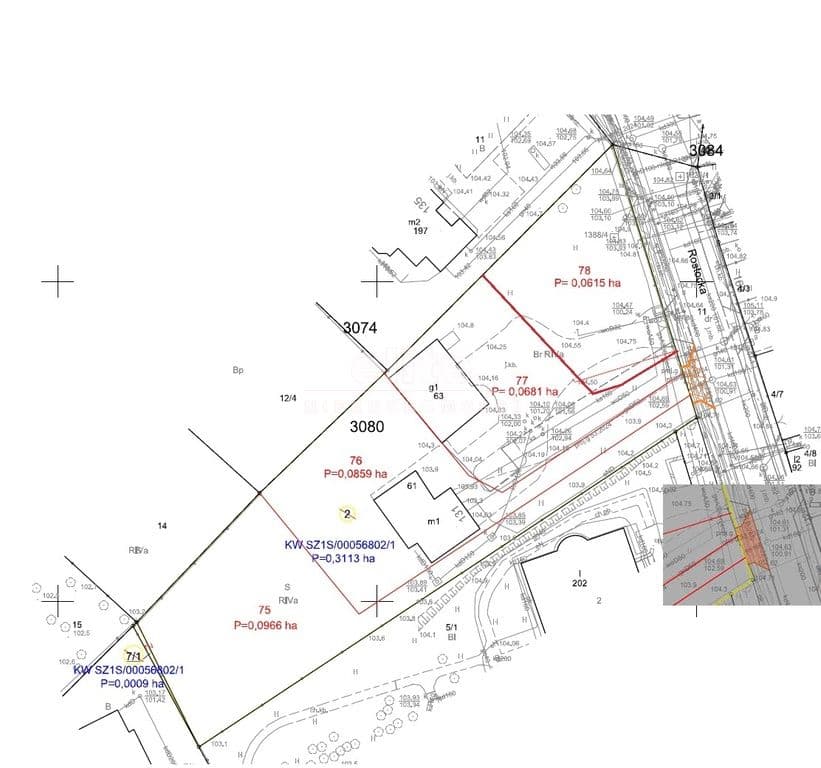
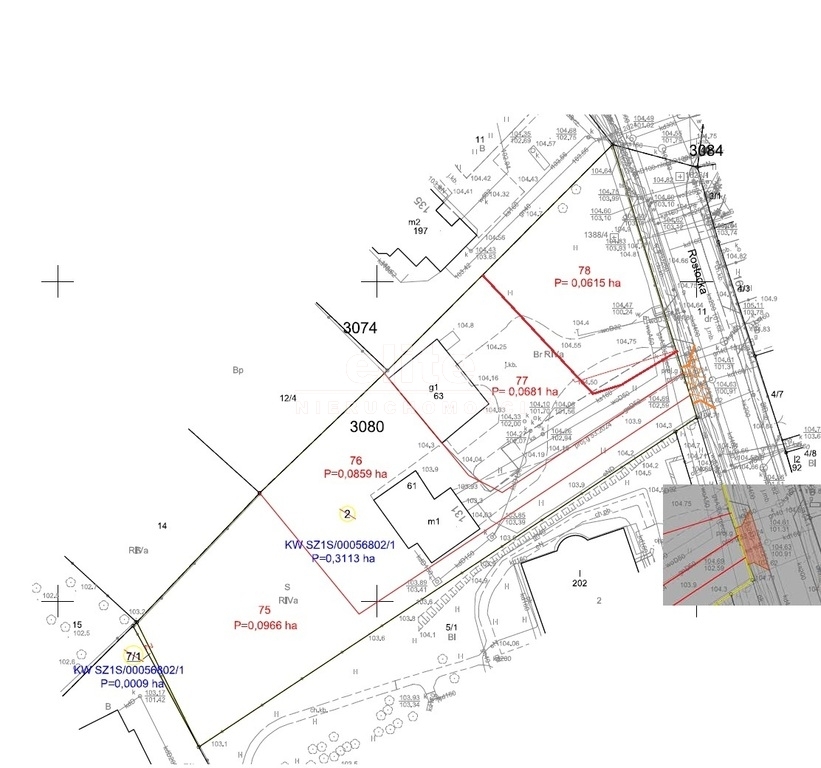
Na zdjęciu nr2 pokazana jest przedmiotowa działka . Jest to czwarta działka od ul. Rostockiej za działką zabudowaną domem.
Na terenie na którym znajdują się działka obowiązuje Miejscowy Plan Zagospodarowania Przestrzennego, który m.in. określa następujące warunki dla tych działek:

Zabudowa jednorodzinna.
Minimalny udział terenu powierzchni biologicznie czynnej : minimalnie 50% powierzchni działki budowlanej.
Nieprzekraczalne linie zabudowy oznaczone na rysunku planu
Maksymalna powierzchnia zabudowy na działce budowlanej 30%
Maksymalna wysokość budynków mieszkalnych 3 kondygnacje naziemne , w tym 3 kondygnacja użytkowa w stromym dachu nie więcej niż do wysokości 12 m liczonej do kalenicy
Forma budynków -wolnostojące
Budynki kryte dachami stromymi
Zakaz zmiany kompozycji budynku historycznego oznaczonego na rysunku planu (budynek gospodarczy)-Jest pozwolenie na wyburzenie tego budynku.

Zapraszam na prezentację
Oferta biura nieruchomości

KUPUJEMY NIERUCHOMOŚCI ZA GOTÓWKĘ w Szczecinie oraz nad morzem, również zadłużone: mieszkania, domy, działki - płacimy natychmiast

 Powyższe ogłoszenie ma wyłącznie charakter informacyjny. Nie stanowi ono oferty w myśl art. 66 i n. ustawy z dnia 23.04.1964r. Kodeks cywilny (Dz.U. 1964r. Nr 16, poz. 93, ze zm.).

Cena
821 100 zł
Cena za m2
850 zł
Miejscowość
Szczecin, Warszewo
Powierzchnia
1 013 m2
Powierzchnia działki
966 m2
Przeznaczenie działki
Budowlana
Kształt działki
Trapez
Instalacje
Prąd, Gaz
Wyświetleń
406
Sprawdź ratę kredytu
821 100 PLN
850 PLN / m2

ELITE nieruchomości

tel. 91 817 17 17

zainteresowania@elite.nieruchomosci.pl

Wyrażam zgodę na przetwarzanie danych
821 100
Chcesz otrzymywać podobne oferty?

Skorzystaj z automatycznych powiadomień e-mail o nowych ogłoszeniach

© 2026 Elite Nieruchomości Szczecin - Mieszkania i domy na sprzedaż - Szczecin, Warszewo, Mierzyn, Bezrzecze, Gumieńce